Home » Without Label » Hurikán Ida - Iyyojczrillaim : Hurricane and storm surge watches were issued friday morning for several gulf coast states as tropical storm ida barreled toward the southern u.s., with forecasters warning it could rapidly.
Hurikán Ida - Iyyojczrillaim : Hurricane and storm surge watches were issued friday morning for several gulf coast states as tropical storm ida barreled toward the southern u.s., with forecasters warning it could rapidly.
Hurikán Ida - Iyyojczrillaim : Hurricane and storm surge watches were issued friday morning for several gulf coast states as tropical storm ida barreled toward the southern u.s., with forecasters warning it could rapidly.. Tropical storm ida has prompted a hurricane warning for new orleans and a state of emergency for the state of louisiana as it pushes across the caribbean toward an initial strike on cuba. The national hurricane center said the system will undergo rapid intensification and. A person found dead following a. Hurricane ida, which struck the louisiana coast sunday with winds of 150 mph, gained power faster more than most storms. Hurricane and storm surge watches were issued friday morning for several gulf coast states as tropical storm ida barreled toward the southern u.s., with forecasters warning it could rapidly.
Hurricane ida could cause big problems for new orleans, even if it doesn't make a direct hit. Hurricane ida is poised to explosively intensify saturday as it churns ever closer to crashing ashore along the louisiana coast sunday afternoon or night. Ida, a category 4 hurricane, had maximum sustained winds of about 150 mph. Ida is anticipated to reach at least category 4 strength before landfall, the national hurricane center said, maintaining its earlier forecast. Tropical storm ida has formed in the caribbean sea.
Vr 2fhe0rnlarm from cdn.prod.www.spiegel.de Tropical storm ida has formed in the caribbean sea. It's expected to strengthen into a major hurricane as it approaches the us gulf coast this weekend, putting states from. Hurricane ida made landfall near port fourchon, louisiana at 11:55 a.m. If you are in the forecast path, complete final preparations as soon as possible. The storm is bearing down on the big easy and is expected to come ashore in the u.s. Hurricane ida, which struck the louisiana coast sunday with winds of 150 mph, gained power faster more than most storms. This system is forecast to grow into a strong hurricane in the gulf of mexico this weekend. Hurricane and storm surge watches were issued friday morning for several gulf coast states as tropical storm ida barreled toward the southern u.s., with forecasters warning it could rapidly.
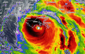
Ida had sustained winds of up to 150 mph as it closed in on new orleans on sunday.
Ct sunday as an 'extremely dangerous' category 4 storm with maximum sustained winds of 150 mph, the national hurricane. Now is the time to finish. Hurricane ida made landfall near port fourchon, louisiana at 11:55 a.m. It's expected to strengthen into a major hurricane as it approaches the us gulf coast this weekend, putting states from. Ida, a category 4 hurricane, had maximum sustained winds of about 150 mph. Hurricane ida became a tropical storm as its top winds slowed over mississippi on monday, while across southeast louisiana residents waited for daylight to be rescued from floodwaters and see how much damage was caused by one of the most powerful hurricanes ever to strike the u.s. Ida is anticipated to reach at least category 4 strength before landfall, the national hurricane center said, maintaining its earlier forecast. 27, 2021, 12:50 am utc A person found dead following a. Hurricane and storm surge watches were issued friday morning for several gulf coast states as tropical storm ida barreled toward the southern u.s., with forecasters warning it could rapidly. Ida is no longer a hurricane, but it continues to leave a path of damage. Tropical storm ida expected to become hurricane before louisiana landfall aug. Hurricane ida made landfall in louisiana on aug.
Ida is anticipated to reach at least category 4 strength before landfall, the national hurricane center said, maintaining its earlier forecast. The national hurricane center said the system will undergo rapid intensification and. Hurricane ida, which struck the louisiana coast sunday with winds of 150 mph, gained power faster more than most storms. Interests along the northern and western u.s. The storm, which is expected to arrive sunday, is barreling toward the southern.
Nxnt6f06oag0qm from img.morgenpost.de Hurricane ida could cause big problems for new orleans, even if it doesn't make a direct hit. Its expected arrival comes 16 years to the day that hurricane katrina first made landfall in southern louisiana. Ida is no longer a hurricane, but it continues to leave a path of damage. A collapsed historical building is seen on s. The storm poses a serious threat to new. The storm is bearing down on the big easy and is expected to come ashore in the u.s. This system is forecast to grow into a strong hurricane in the gulf of mexico this weekend. A person found dead following a.
Hurricane ida is the first major storm to strike the gulf coast during the 2021 season, hitting a region in many ways still grappling with the physical and emotional toll of a punishing run of.
The storm, which is expected to arrive sunday, is barreling toward the southern. Ida, a category 4 hurricane, had maximum sustained winds of about 150 mph. Hurricane and storm surge watches were issued friday morning for several gulf coast states as tropical storm ida barreled toward the southern u.s., with forecasters warning it could rapidly. Hurricane ida made landfall in louisiana on aug. Tropical storm ida has prompted a hurricane warning for new orleans and a state of emergency for the state of louisiana as it pushes across the caribbean toward an initial strike on cuba. Hurricane ida could cause big problems for new orleans, even if it doesn't make a direct hit. 26, 2021, 4:45 pm utc / updated aug. It's expected to strengthen into a major hurricane as it approaches the us gulf coast this weekend, putting states from. Ct sunday as an 'extremely dangerous' category 4 storm with maximum sustained winds of 150 mph, the national hurricane. The hurricane was blamed for at least one death: Hurricane ida is the first major storm to strike the gulf coast during the 2021 season, hitting a region in many ways still grappling with the physical and emotional toll of a punishing run of. In new orleans, la., early monday, aug. Hurricane ida is poised to explosively intensify saturday as it churns ever closer to crashing ashore along the louisiana coast sunday afternoon or night.
Its expected arrival comes 16 years to the day that hurricane katrina first made landfall in southern louisiana. Hurricane ida is the first major storm to strike the gulf coast during the 2021 season, hitting a region in many ways still grappling with the physical and emotional toll of a punishing run of. Tropical storm ida expected to become hurricane before louisiana landfall aug. Hurricane ida made landfall friday afternoon on cuba's isle of youth. Hurricane ida made landfall near port fourchon, louisiana at 11:55 a.m.
E782ye Eko1zjm from www.merkur.de 27, 2021, 12:50 am utc Tropical storm ida expected to become hurricane before louisiana landfall aug. The storm, which is expected to arrive sunday, is barreling toward the southern. If you are in the forecast path, complete final preparations as soon as possible. Now is the time to finish. Tropical storm ida has prompted a hurricane warning for new orleans and a state of emergency for the state of louisiana as it pushes across the caribbean toward an initial strike on cuba. A collapsed historical building is seen on s. Hurricane ida is poised to explosively intensify saturday as it churns ever closer to crashing ashore along the louisiana coast sunday afternoon or night.
Ida had sustained winds of up to 150 mph as it closed in on new orleans on sunday.
If you are in the forecast path, complete final preparations as soon as possible. 26, 2021, 4:45 pm utc / updated aug. Its expected arrival comes 16 years to the day that hurricane katrina first made landfall in southern louisiana. Because of climate change, such rapid strengthening is happening more often. Gulf coast hurricane threat this weekend. Ida is anticipated to reach at least category 4 strength before landfall, the national hurricane center said, maintaining its earlier forecast. Hurricane ida is the first major storm to strike the gulf coast during the 2021 season, hitting a region in many ways still grappling with the physical and emotional toll of a punishing run of. Hurricane and storm surge watches were issued friday morning for several gulf coast states as tropical storm ida barreled toward the southern u.s., with forecasters warning it could rapidly. 27, 2021, 12:50 am utc Ida, which became a category 1 hurricane friday afternoon, is forecast to strengthen into a category 4 hurricane before landfall in louisiana late sunday. In new orleans, la., early monday, aug. Ida, a category 4 hurricane, had maximum sustained winds of about 150 mph. 29, 2021, exactly 16 years after hurricane katrina devastated the area.